

ধেয়ে আসছে ঘূর্ণিঝড় মিল্টন। বলা হচ্ছে গত ১০০ বছরের মধ্যে সবচেয়ে বিধ্বংসী ঘূর্ণিঝড় হতে চলেছে। ফলে ব্যাপক ক্ষয়ক্ষতির আশঙ্কা করা হচ্ছে। এমন পরিস্থিতিতে স্থানীয় বাসিন্দাদেরও সরিয়ে নিয়েছে কর্তৃপক্ষ।
বুধবার (০৯ অক্টোবর) বিবিসির এক প্রতিবেদনে এ তথ্য জানানো হয়েছে।
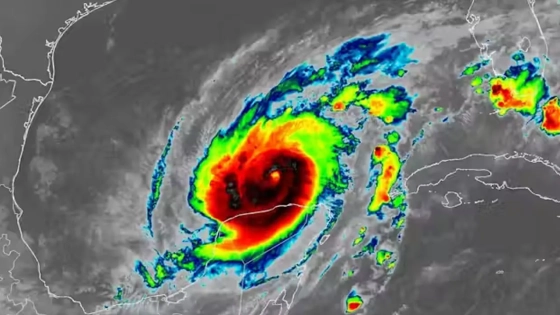
মার্কিন কর্মকর্তারা ফ্লোরিডা উপকূলের দিকেিএগোতে থাকা হারিকেন মিল্টনের সম্ভাব্য জীবন-হুমকির প্রভাব সম্পর্কে সতর্ক করছেন। সাম্প্রতিক বছরগুলোতে উত্তর আটলান্টিকে তৈরি হওয়া সবচেয়ে শক্তিশালী ঝড়গুলোর মধ্যে একটি হতে যাচ্ছে মিল্টন।
যুক্তরাষ্ট্রে হারিকেন হেলেন তাণ্ডব চালানোর মাত্র দুই সপ্তাহ পর এটি আঘাত হানতে চলেছে। স্থানীয় সময় বুধবার এটি আঘাত হানতে পারে বলে ধারণা করা হচ্ছে।
ন্যাশনাল হারিকেন সেন্টার (এনএইচসি) জানিয়েছে, মিল্টন স্থানীয় সময় বুধবার রাতে মার্কিন যুক্তরাষ্ট্রের ফ্লোরিডা রাজ্যে একটি ‘অত্যন্ত বিপজ্জনক হারিকেন’ হিসেবে ল্যান্ডফল করবে। এটি টাম্পা শহরের কাছে আঘাত হানতে পারে, এলাকাটিতে তিন মিলিয়নের বেশি জনসংখ্যা রয়েছে।
আবহাওয়ার পূর্বাভাসে বলা হয়েছে, এর প্রভাবে মুষলধারে বৃষ্টি, আকস্মিক বন্যা, প্রবল বাতাস এবং সম্ভাব্য ঝড়-বৃষ্টির সতর্কবার্তা দেওয়া হয়েছে। আবহাওয়াবিদরা জানিয়েছেন, মিল্টন প্রায় এক শতাব্দীর মধ্যে এই অঞ্চলে আঘাত হানার সবচেয়ে খারাপ ঝড় হতে পারে। এর প্রভাবে ১০ থেকে ১৫ ফুট উচ্চতার জলোচ্ছ্বাস হতে পারে। এছাড়া স্থানীয়ভাবে দেড় ফুট পর্যন্ত বৃষ্টিপাত হতে পারে।
মন্তব্য করুন